Zum Hauptinhalt springen

Hüftgelenksdysplasie (HD)

In diesem Artikel möchten wir euch etwas über die Hüftgelenksdysplasie (HD) erzählen, einer der häufigsten Gelenkserkrankungen bei Hunden, nicht selten auch bei Katzen. Fast täglich sehen wir in der Praxis Patienten mit diesem Problem.

Bei dieser Erkrankung sind die Hüftpfanne und/oder der Oberschenkelkopf nicht korrekt ausgebildet. Dadurch ist der Hüftkopf locker und kann im Verlauf gar teilweise oder ganz luxieren. Diese übermässige Beweglichkeit führt früher oder später unweigerlich zu Arthrose und Schmerzen. In der Regel sind beide Hüftgelenke betroffen. Die betroffenen Tiere gehen z.T. lahm, haben einen komischen Gang, haben Mühe mit aufstehen oder entlasten die Hintergliedmassen, indem sie das Gewicht nach vorne verlagern (manche Tiere gehen dann an den Vorderbeinen lahm aufgrund von Überlastung).

Die Ursache für HD ist komplex und noch nicht gänzlich aufgeklärt. Es gibt aber bekannte Faktoren, welche die Ausbildung einer HD beeinflussen.

Einen wichtigen Einfluss hat die Genetik. Die Neigung zur Entwicklung einer HD ist vererbt. Deshalb ist bei vielen Rassen bei Zuchttieren eine HD-Röntgenuntersuchung vorgeschrieben und Tiere mit Hüftgelenksdysplasie werden nicht zur Zucht zugelassen. Zudem spielt die Grösse des Tieres eine Rolle. In der Regel sind grosse, schwere Rassen mehr betroffen und haben eher Schmerzen und Mühe mit Hüftarthrose als kleinere und leichtere Rassen. Neben der Genetik spielt auch die Ernährung und Bewegung insbesondere im Wachstum eine entscheidende Rolle (z.B. zu schnelle Gewichtszunahme, zu viel Kalzium in der Fütterung). Bei falscher Ernährung können auch Hunde ohne genetische Neigung eine HD entwickeln und umgekehrt. Bei Hunden welche zu einer HD neigen, kann die Ausprägung mit gezielter Ernährung und Bewegung reduziert oder vermieden werden. Verdächtig für eine HD sind Schmerzen im Hüftgelenk und ein typischer Gang. Die schlussendliche Diagnose kann jedoch nur am sedierten Tier mit einem Röntgenbild mit einer speziellen Lagerung gestellt werden. Schon in den ersten 15 Monaten ist eine Veranlagung zu HD im Röntgenbild erkennbar, noch bevor die ersten Symptome auftreten. Eine Früherkennung ist wichtig, da man so die besten Möglichkeiten hat die Auswirkungen zu reduzieren und zu therapieren.

Therapieoptionen

Je nach Alter, Grösse, Ausprägung und Symptomen gibt es verschiedene Therapieoptionen. Diese reichen von Futterzusätzen, Schmerzmitteln, Gewichtsreduktion, Physiotherapie bis hin zu chirurgischen Therapien. Eine Möglichkeit das Tier von den Gelenksschmerzen zu befreien, ist die Entfernung des luxierten und oft arthrotisch veränderten Hüftkopfes (sogenannte Femurkopfresektion). Dies ist bei kleinen Hunden und Katzen eine sehr gute Option. Die Muskulatur bildet ein ‚Pseudogelenk‘ und oft merkt man den Tieren im Gang nichts mehr an. Bei grösseren Hunden ist diese Option in wenigen Fällen auch möglich, wenn das Alter und Budget keine andere Operation zulässt. Bei grossen Hunden ist chirurgisch die beste Möglichkeit ein künstliches Hüftgelenk. Diese Operation (gleich wie in der Humanmedizin) ermöglicht dem Hund wieder ein voll funktionierendes Hüftgelenk zu haben und ohne Schmerzen zu leben. Diese Operation wird nur von wenigen spezialisierten Chirurgen in der Schweiz durchgeführt. Sehr gute Erfahrungen habe wir mit den beiden Chirurgen Daniel Koch (www.dkoch.ch) und Nico Kipfer (www.tierarztkipfer.ch) gemacht. Die Patienten und Besitzer sind mit den Resultaten sehr zufrieden. Die Kosten für ein neues Hüftgelenk betragen zwischen CHF 5'000 – 5'500. Bei Fragen oder Interesse zu HD-Abklärung stehen wir jederzeit zur Verfügung. Falls ihr Tier betroffen ist, finden wir je nach Patient und Besitzer die jeweils bestmögliche Option.

Hier die Bildergalerie von unserem verschiedenen Patienten

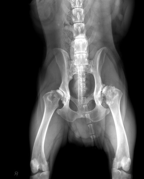
Normale Hüfte ohne Arthrose

Hier ein Bild einer normalen Hüfte ohne Arthrose eines 8 jährigen Golden Retriever Rüden. Die Hüftköpfe sind rund, glatt und sitzen tief in der Hüftpfanne.

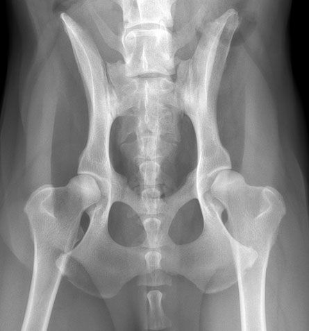
Hüfte mit Arthrose

Dieser 7 jährige, etwa gleichgrosse Rüde hat eine deutliche HD, rechts mit stärkerer Arthrose als links. Der Hüftkopf verliert seine runde glatte Form. Deutliche Arthrose schmerzen sind die Folge.

Stark ausgeprägte HD

Bei diesem 10 jährigen Labrador ist die HD stark ausgeprägt. Der linke Hüftkopf ist aus der Pfanne luxiert, starke Arthrose hat sich gebildet. Neben der Schmerzen kann das Bein nicht nach hinten gestreckt werden, da der Hüftkopf am Becken anstösst.

Femurkopfresektion

Weil eine Hüftprothese aus verschiedenen Gründen nicht in Frage kam, haben wir den luxierten Hüftkopf entfernt (Femurkopfresektion). Die Muskulatur und Bindegewebe bilden ein funktionierendes "Pseudogelenk" aus. Dadurch hat der Hund deutlich weniger Schmerzen und gewinnt Lebensuqalität. Diese Operation wird normalerweise eher bei kleinen Hunden oder Katzen gemacht, funktioniert aber auch bei grösseren Tieren, wenn eine Hüftprothese nicht möglich ist.

Katzenhüfte

Bei Katzen wird die Femurkopfresektion häufiger gemacht. Diese Katze hatte stark veränderte Hüftköpfe und konnte kaum mehr laufen. Schon kurz nach der Operation merkte man der Katze kaum mehr etwas an beim Rennen, Springen oder Gehen.

Hüftprothese

Dank einer Hüftprothese kann er auf dieser Seite wieder schmerzfrei und ohne Funktionseinschränkung gehen. Die andere Seite wird später auch operiert werden.

Vergleich

Hier in der Vergrösserung der Vergleich einer gesunden und einer Hüfte mit HD. Der Hüftkopf ist luxiert und durch die überhöhte Beweglichkeit hat sich starke Arthrose gebildet.

Wir danken unseren Patientenbesitzern herzlich für die Erlaubnis zur Bildverwendung ihrer Lieblinge.